广州华美医疗美容医院 版权所有 粤ICP备10235314号 粤(A)广(2021)第074号
医院地址:广州市天河区黄埔大道西493号(国防大厦公交2站) 美丽热线:020-61999999
copyright 2006-2021 广州华美医疗美容医院 Map
1月2--3日,邓裴主任亲临广州华美鼻部综合修复专场
来源:广州华美 作者: 发表时间:2018-01-02 点击数:次
他,是美容外科医师
他,精于鼻部整形手术
1月2--3日
他——邓裴主任亲临广州华美
鼻部综合修复专场
拯救您的鼻子!
邓裴主任,是中国老年学学会衰老与抗衰老科学委员会委员、湖北省医学会整形外科分会副主任委员医学美学与美容学分会常务委员、中国整形外科协会鼻整形分会常务委员、艾尔建乔雅登玻尿酸注射技术国家级培训医师,是鼻部整形美容外科医师;

擅长项目:自体肋软骨隆鼻、鼻部综合、耳部整形、全颜面多层次除皱等。
都说面部一枝花,全靠鼻当家,可见鼻子在整个面部五官当中所占的重要性,而且鼻部整形手术是一项非常精细专业的整形手术,不允许出现任何一点偏差,但是,很多妹子选择了一些不正规的整形医院,结果,悲剧了……

如果您的鼻子有上述的问题出现,那么现在您有一个机会可以修复“败鼻”,1月2--3日,广州华美特邀鼻部整形权威邓裴主任,帮您重塑美鼻,重塑自信。

鼻修复适应症:
1、假体隆鼻失败修复

可通过假体+自体耳软骨、鼻中隔软骨或者肋软骨来修复改善
2、注射隆鼻失败修复

可通过鼻中隔软骨修复、耳软骨鼻尖修复、肋软骨全鼻改善
3、鼻综合失败修复

可通过自体肋软骨全鼻修复、鼻综合修复、鼻尖综合修复
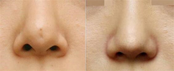
鼻修复整形部分案例




1月2---3日,给“败鼻”一次修复的机会,
这一次,请您慎重选择,
广州华美鼻部整形修复专场,
专精美鼻,只为品质而生!
鼻整形大咖邓裴在华美约定您!

























